SIGN UP CUSTOMER LOGIN
Main Photo

4 Total Photos [Click to View All]

Main Photo
Main Photo

0005 S State Route 59 Plainfield, IL 60586

$1,100,000
Active / MLS# 11066270 / Land - Farm / Plainfield
0 Beds

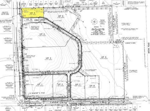
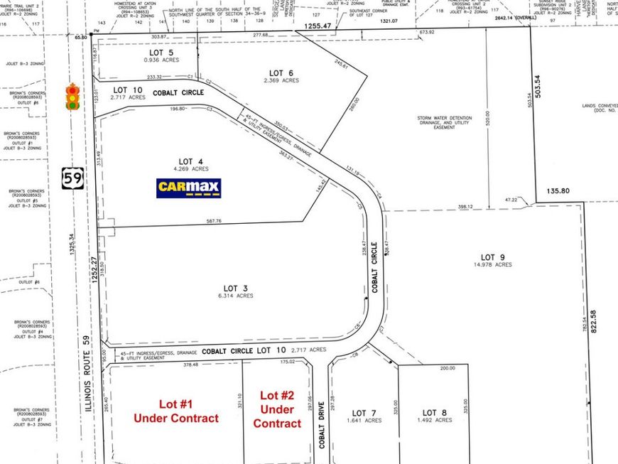
Lot # 5 (0.936 acres). NEC Rt 59 & Theodore St within a 40 acre new development located at the NEC route 59 & Theodore St Joliet OUTLOTS FOR SALE or Possible GROUND LEASE Pad Ready, Off-Site Detention and utilities to site * Join CarMax (the United States' largest used-car retailer and a Fortune 500 company). (1) Lighted corner site available & (1) Future lighted corner. * 220,000 sq/ft of grocery stores and 500,000 sq/ft of Retail within 1 mile radius of the site. * Across from Super Wal-Mart, Advanced Auto, Starbuck's, Culver's Family Video Midland States Bank and Esporta (L.A.) Fitness

Read More » Read Less »

Baird & Warner Brady Byrne Agent Cell: 630.220.0037 Email

Mortgage Calculator

%
years/fixed
yearly
yearly (est.)
(Payments are an estimate and may vary by lender)

Estimated Payment

$ 2,846.69 per month $2,444.44 Principal & Interest $81.42 Property Tax $320.83 Homeowner's Insurance
Get your competitive financing options.

Property Details

Property Type: Land - Farm
Lot Size: 0.94 Acres
Taxes: $977

Feature Descriptions

Current Use: Agricultural
Frontage: 116.8
Frontage Type: State Road
Lot Dimensions: 167.87 X 303.87 X 139.67 X 233.32 X 28.28
Parcel#: 0603343000290000
Road Surface: Asphalt
Township: Plainfield
Utilities: Natural Gas Available, Sewer Connected, Water Available

Schools

School District: District 202

Disclaimer: The accuracy of all information regardless of source, including but not limited to square footage and lot size, is deemed reliable but not guaranteed nor warranted and should be personally verified through personal inspection by and/or with the appropriate professionals.

Location

See details and scored characteristics about this location.

Listing Office: The Koenig Group Inc

Listing Office Phone: 815-546-1679



Listing data and photos distributed by MLSGRID
Member Participants (and their affiliated licensees, if applicable) shall indicate on their websites that IDX information is provided exclusively for consumers’ personal non-commercial use, that it may not be used for any purpose other than to identify prospective properties consumers may be interested in purchasing, that the data is deemed reliable but is not guaranteed by MLS GRID, and that the use of the MLS GRID Data may be subject to an end user license agreement prescribed by the Member Participant’s applicable MLS if any and as amended from time to time. MLS GRID may, at its discretion, require use of other disclaimers as necessary to protect Member Participant, and/or their MLS from liability.
Based on information submitted to the MLS GRID. All data is obtained from various sources and may not have been verified by broker or MLS GRID. Supplied Open House Information is subject to change without notice. All information should be independently reviewed and verified for accuracy. Properties may or may not be listed by the office/agent presenting the information.


Login to my Baird & Warner account

Pixel